- Price 151,600
- Residential Land For Sale
- MLS A2016614
Description
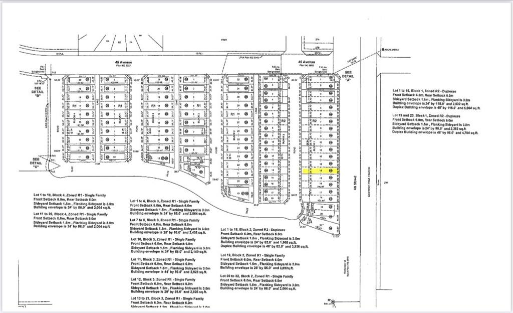
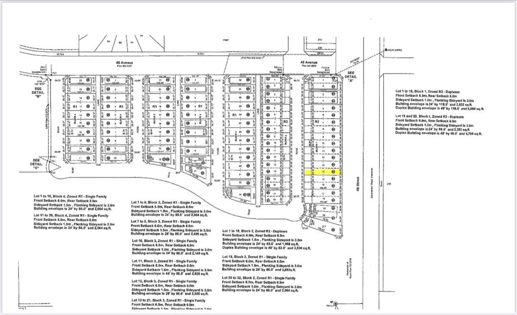
Welcome to West Park’s newest development….Lakeside!!! This development is situated close to shopping and dining. You can access the walking path along the lake and build your own home! Don’t miss out on an amazing opportunity in 2026.
Details
- TypeCommercial
- TransactionFor Sale
- NeighbourhoodWest Park
- Commercial TypeResidential Land
- InclusionsN/A
- ZoningR2
Listing Agent
- Tracy Brandingen - RE/MAX Real Estate (Edmonton) Ltd. 780-672-7474
All information displayed is believed to be accurate but is not guaranteed by Central Alberta REALTORS® Association and should be independently verified. No warranties or representations of any kind are made.











