- Price 1,350,000
- Commercial Land For Sale
- MLS A2258600
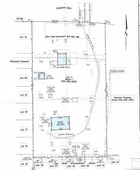
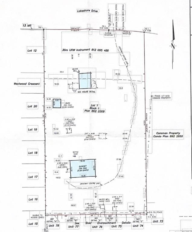
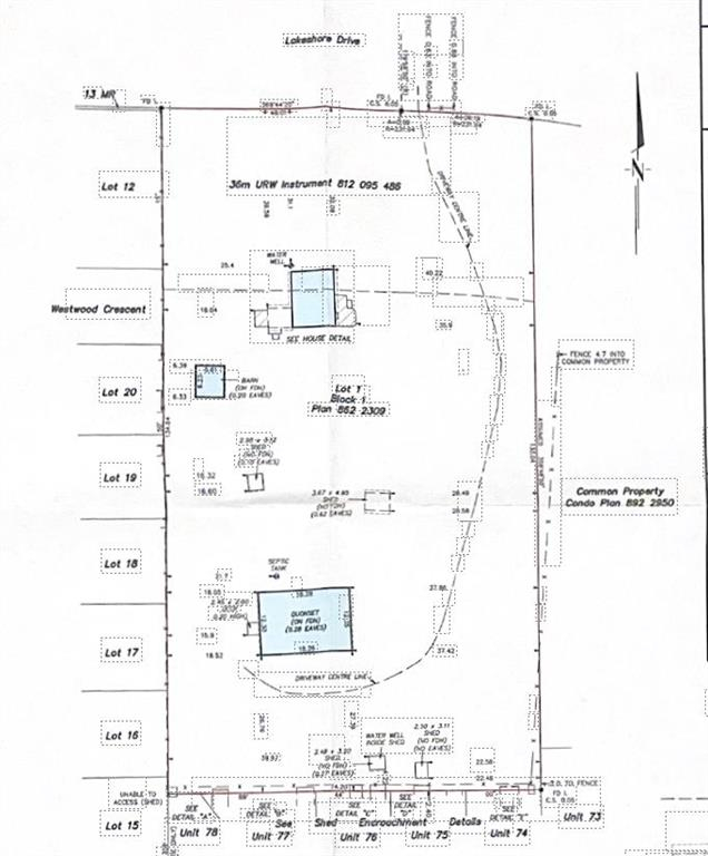
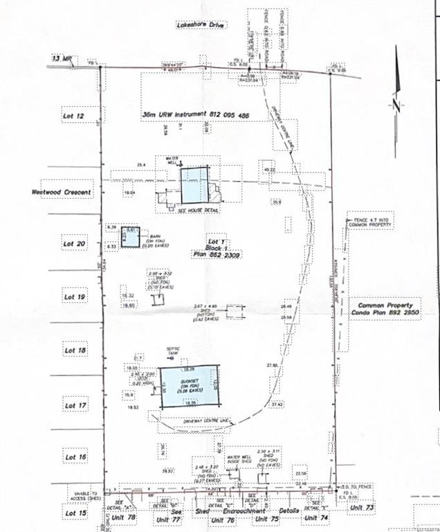
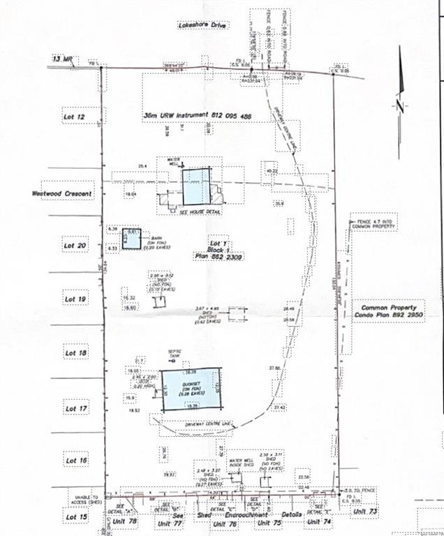
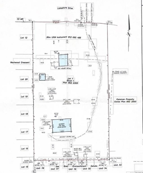
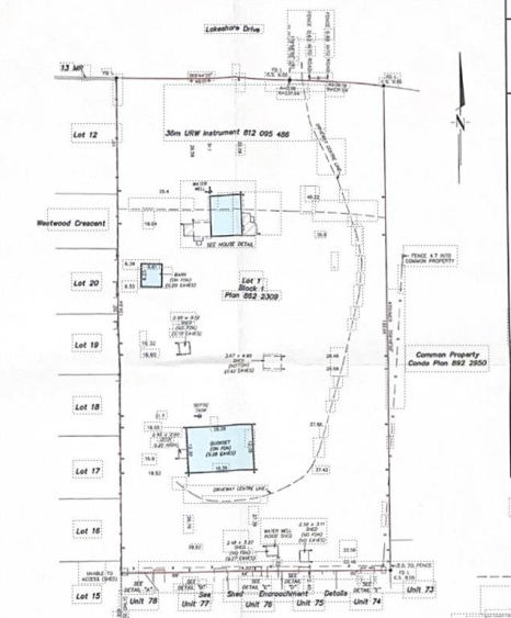
Prime multi-family development opportunity on Lakeshore Drive in Sylvan Lake! This 2.46-acre parcel is one of the last large development sites along the lakefront corridor and is ideally suited for future higher-density residential under the Town’s Urban Neighbourhood policy. The property is currently zoned Future Designation, requiring an Outline Plan and rezoning, but its location and size make it a standout candidate for townhomes, stacked townhouses, or low-rise multi-family. Surrounded by established neighbourhoods and within walking distance to the lake, schools, and amenities, this site offers unmatched potential for a signature residential project. Existing improvements include an older bungalow, barn, and quonset, with value placed on the land for redevelopment. A rare chance to secure premium infill land in one of Central Alberta’s fastest-growing communities.
- TypeCommercial
- TransactionFor Sale
- NeighbourhoodNONE
- Commercial TypeCommercial Land
- InclusionsN/A
- ZoningFD
- Kevin Lapp - eXp Realty - Sylvan Lake 403-887-1237











