- Price 100,000
- Residential Land For Sale
- MLS A2284930
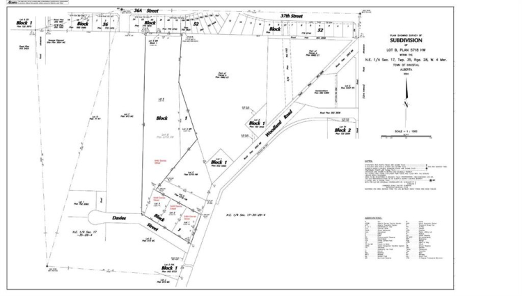
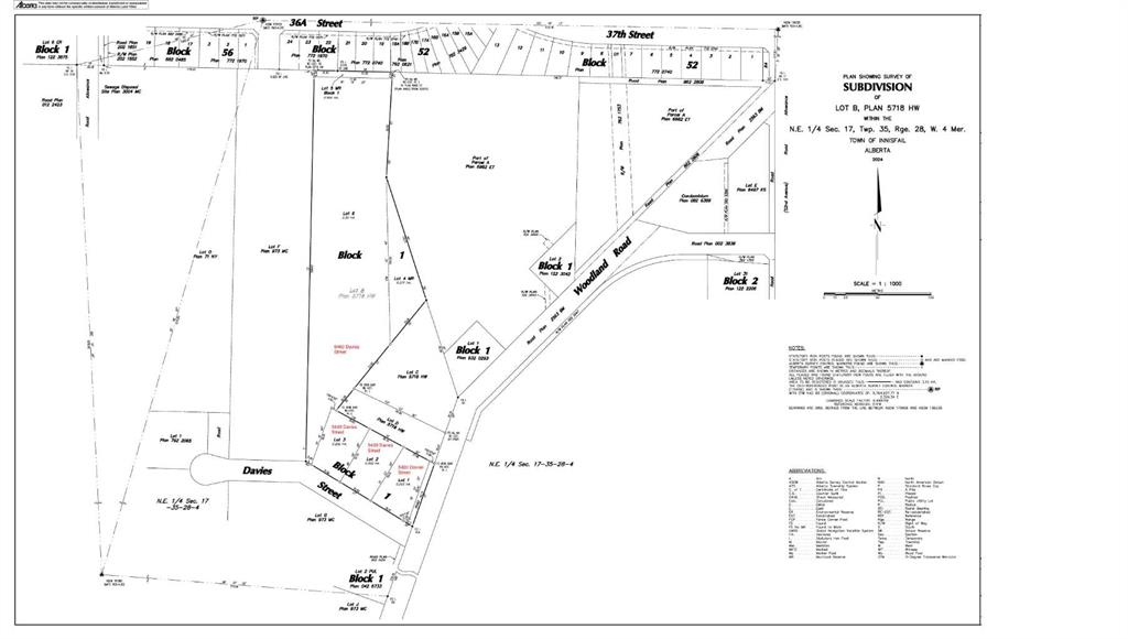
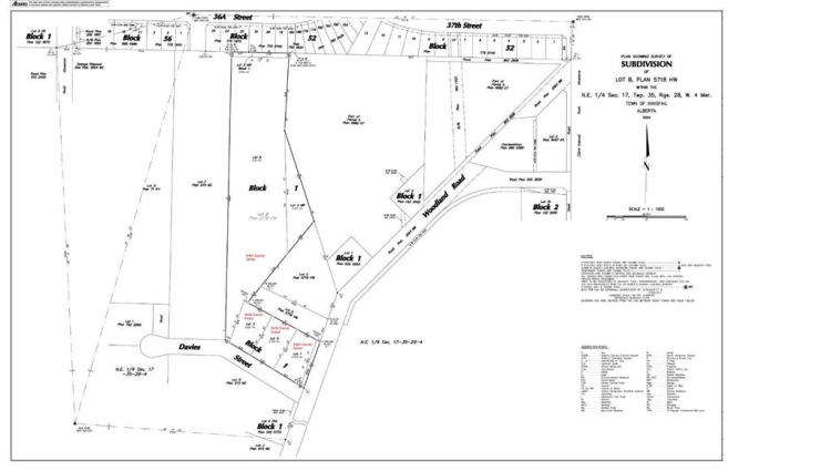
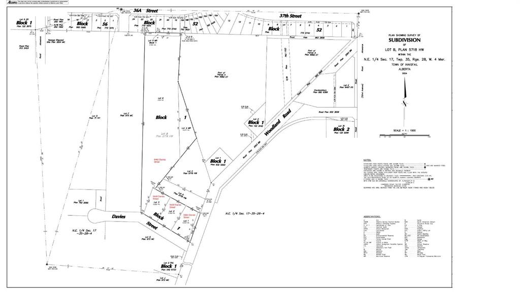
R-1C lot (s)!!! Don’t miss your chance to place a manufactured home, bring your own builder and complete your dream home on this half an acre lot. This vacant lot is perfectly positioned in the community of beautiful Town of Innisfail. This prime lot offers unbeatable views and location inside the lovely town of Innisfail. It sits in an area with lots of trees. Birds singing and Deers running around. Nature is just right outside of your door. It is R1C to allow more efficient use of the land. There are 3 lots for sale next to each other, so bring your friends and families together to your next door. Owner can provide finance on the land. Currently there is no municipal services to the lots. You can use a water well or cistern for potable water and septic field or pump out tank for sanitary sewer. When the municipal services are available, the land will have to connect to the municipal service. It is possible that each of these parcels could be the subject of a future subdivision.
- TypeCommercial
- TransactionFor Sale
- NeighbourhoodNONE
- Commercial TypeResidential Land
- InclusionsN/A
- ZoningR-1C
- Yu jing Li - Grand Realty 403-460-3888















